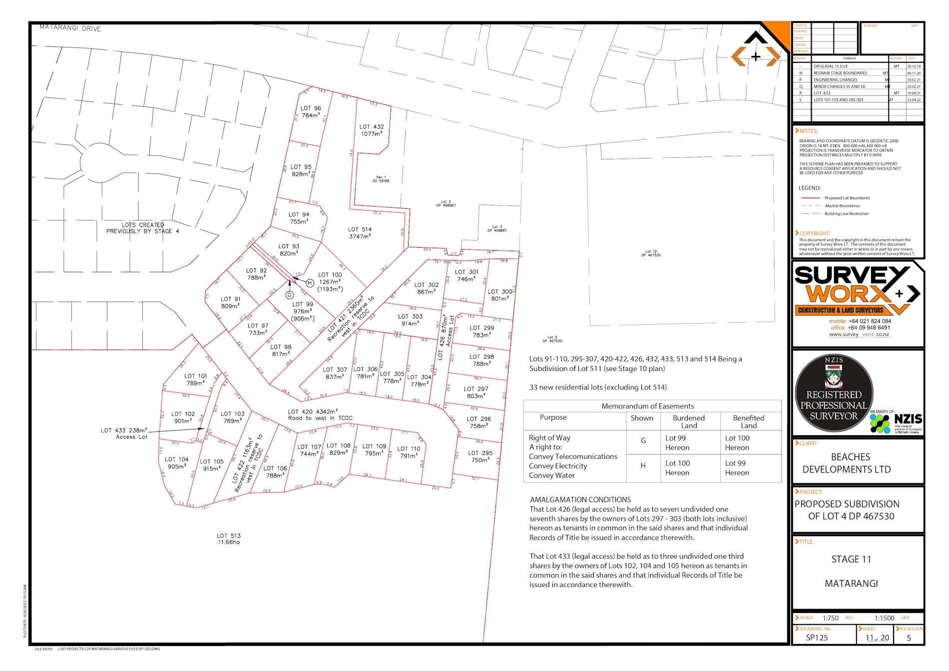
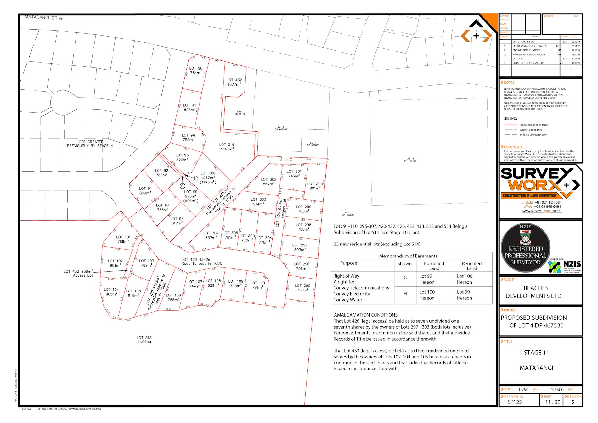
Matarangi — Lot 102 Beaches

Lot 102 Beaches
Number of bedrooms
Bedrooms 2
Number of bathrooms
Bathrooms 1
Number of living spaces
Living spaces 1
Number of toilets
Toilets 1
Carport or Garage Size
Carport or Garage Size 1
Floor size:
90m²
Section size:
901m²
Price
$965,000

Looking for a small starter bach at the beach?

This new plan from Versatile's Advantage Range is perfect! Put it on the lovely Lot 102 Kopani Road and you are set to enjoy the beach life at Matarangi.

Kopani Road, Matarangi
Features
  • Council-ready plans
  • Modern & contemporary
  • Durable & Low maintenance cladding

This design with its 2 bedrooms, 1 bathroom and a single internal access garage is ready-to-go with Council-ready plans! All you need to do is choose your colours and we can go straight to Council and expedite the building process.

You could be sitting in your new beach home well before next spring, enjoying your lake views and smelling the salt air.

The Advantage 90 is simple, yet modern and contemporary. It is built in the most durable and low maintenance cladding - Colorsteel. Excellent for the beach conditions. Just lock up and leave.

Don't sit back and wait, the market is picking up and you don't want to miss out!

Other plans you may be interested in

Matarangi – Lot 206 Beaches From $895,000

23 07 17 Advantage 100 01 Web Gallery

Perfect lake front location! 100m²

Number of bedrooms
2
Number of bathrooms
1
Number of Living Spaces
1
Carport or Garage Size
1

Perfect for a holiday home, first home, retirement home or rental. This compact small home has it all and would suit most living circumstances. Most of all it's affordable and in Matarangi's new Beaches Development. Lot 206 is located on the beautiful lake front, North facing, neighbouring a reserve, and close to all amenities.
*Give Tracey a call to discuss.*
Mobile: 027 5428545
Office: 07 8688410
Email: tracey.barker@versatile.co.nz
Visit 74 Kopu Road, Kopu, Thames.

More